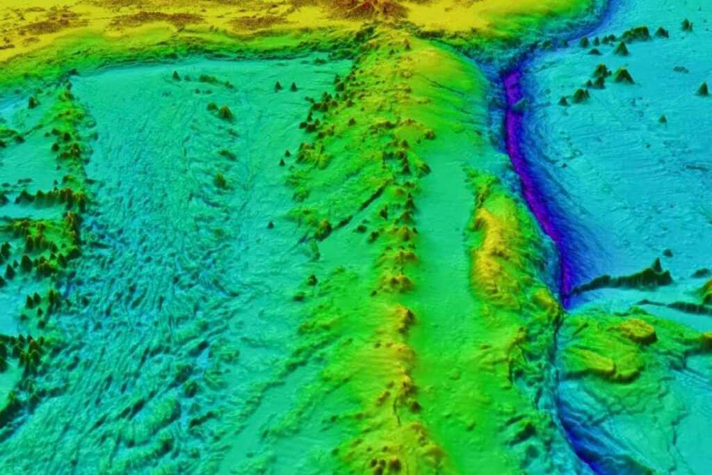
Feltérképezték az óceánok mélyének egy ötödét a Seabed 2030 mélytenger-mérési program kutatói, akik a koronavírus-járvány kihívásai ellenére folytatják tevékenységüket.
Az óceánok mélyének topográfiája a kutatók szerint kevésbé ismert, mint a Mars a Merkúr vagy a Vénusz felszínéé, vízrajzi feltárásuk segít megérteni az óceánok hatását a Föld klímájára. Az adatok fontosak lehetnek a tengeri ökoszisztéma, a tengeri élet, a jövőbeni élelmiszer-ellátás jobb megismerése tekintetében is. Az óceánok és tengerek a bolygónk felszínének 71 százalékát borítják.

A Seabed 2030 program összegyűjti az összes elérhető vízrajzi adatokat, hogy átfogó térképet készítsen a világ óceánjairól, tengereiről. A feltérképezett területek nagysága 19 százalékra nőtt.

A program által felhasznált adatok között vannak a kormányok, tudományos akadémiák és a kereskedelmi források – hajók által biztosított adatok. Ezeket illesztik össze különböző regionális központok szakértői a program keretében, amelynek költségei 3-5 milliárd euróra rúgnak – írta az erdekesvilag.hu.





