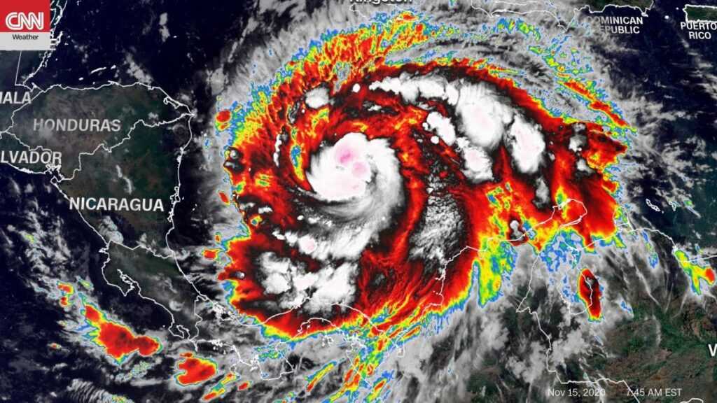
Az idén már a 13. hurrikán sújtja Közép-Amerika Atlanti-óceán felé eső partjait.
Az Iota nevezetű trópusi ciklon alakult át hurrikánná, a partokat még nem érte el, a légi felderítők szerint ez a tizenharmadik ciklon, amely hurrikánná erősödik fel a 2020-as szezonban.

Az Iota a legutolsó jelentés szerint 475 kilométerre van a Kolumbiához tartozó Isla de Providenciától, és 120 kilométer per órás sebességgel halad – írta az index.hu.
[youtube v=”mADHWbpKvBQ”]





